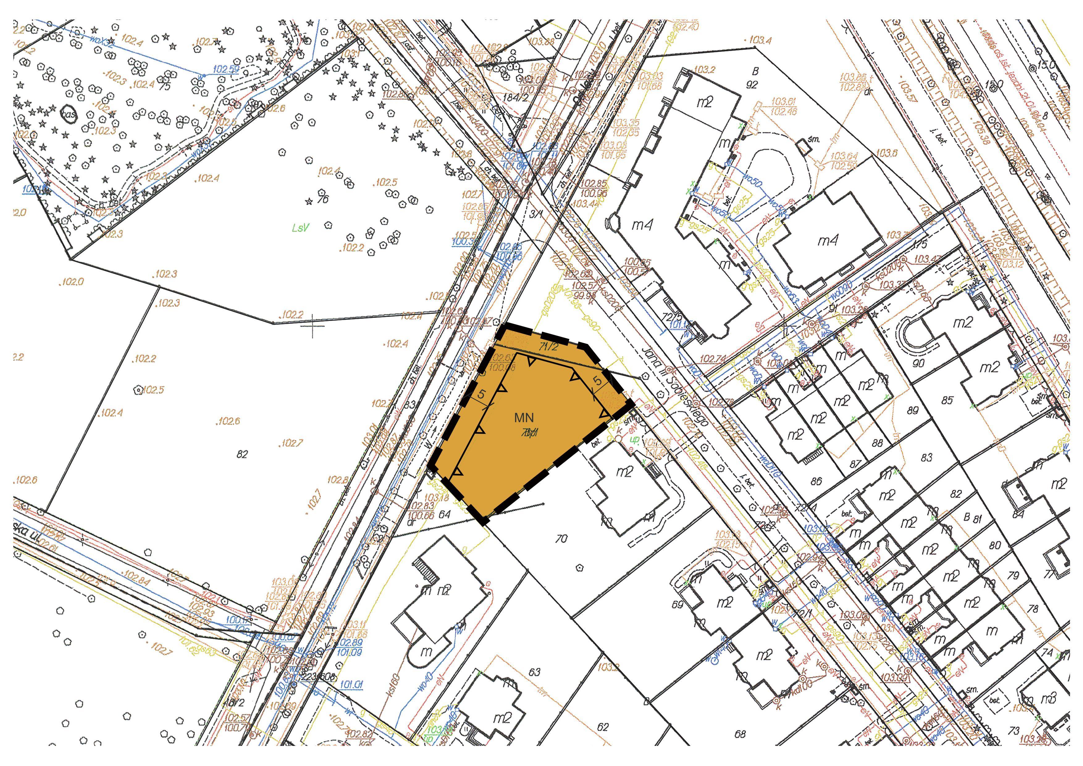
Od 17 listopada do 17 grudnia br. odbywać się będą konsultacje społeczne dotyczące projektu miejscowego planu zagospodarowania przestrzennego dla działek o nr. 71/1 i 71/2 z obrębu ewidencyjnego 03-23 w Konstancinie-Jeziornie. Spotkanie otwarte dotyczące projektu zaplanowano na 2 grudnia br. o godz. 16.00 w sali nr 7 w konstancińskim magistracie.
Projekt miejscowego planu zagospodarowania przestrzennego dla działek o nr. 71/1 i 71/2 z obrębu ewid. 03-23 w Konstancinie-Jeziornie, wraz z prognozą oddziaływania na środowisko, poddany będzie konsultacjom społecznym w dniach 17 listopada–17 grudnia br.
Od najbliższego poniedziałku (17 listopada) będzie można się z nim zapoznać w Wydziale Planowania Przestrzennego w godzinach przyjmowania interesantów (w poniedziałki w godz. 8.00–17.45, od wtorku do czwartku w godz. 8.00–15.45, w piątki w godz. 8.00–13.45). Dokumentacja zostanie również udostępniona w Biuletynie Informacji Publicznej w zakładce Planowanie przestrzenne oraz Gminnym Systemie Informacji Przestrzennej.
Zaplanowano również dyżur projektanta, podczas którego mieszkańcy będą mogli zapoznać się z projektem planu oraz zadać pytania dotyczące konsultowanego dokumentu. Odbędzie się on 25 listopada br. w godz. 16.00–17.00 w sali nr 7 urzędu.
Konsultacje społeczne i otwarte spotkanie
Natomiast spotkanie otwarte dotyczące projektu planu zostanie przeprowadzone 2 grudnia br. o godz. 16.00 w sali nr 7 Urzędu Miasta i Gminy (ul. Piaseczyńska 77). Uwagi do dokumentu należy składać w nieprzekraczalnym terminie do 17 grudnia br.
- na piśmie:
- w kancelarii Urzędu Miasta i Gminy Konstancin-Jeziorna (ul. Piaseczyńska 77);
- drogą korespondencyjną wysyłając na adres: Urząd Miasta i Gminy Konstancin-Jeziorna, ul. Piaseczyńska 77, 05-520 Konstancin-Jeziorna.
- w formie elektronicznej:
- za pomocą elektronicznej skrzynki podawczej na platformie ePUAP: /4576mqsekc/SkrytkaESP;
- za pomocą poczty elektronicznej (e-mail) – adres urzad@konstancinjeziorna.p;
- za pomocą e-Doręczeń – adres: AE:PL-50257-64380-VUEEG-20.






